Luxación de rótula de
grado IV
Aunque ya he publicado otros artículos sobre la luxación de
rótula, se trata de una patología muy habitual en perro de razas pequeñas y
solemos verla con frecuencia en la clínica diaria.
Para definir el grado de la luxación hay una escala con
cuatro grados, siendo el último el más grave, y corresponde a una luxación
completa de rótula en la que no podemos recolocar la rótula en el surco
femoral, debido al gran desplazamiento que presenta y a la rotación de los
huesos.
Es también muy frecuente que ésta patología sea bilateral,
como en el caso que nos ocupa, y en cada extremidad es necesario aplicar las
técnicas necesarias para reponer la rótula al surco femoral, aunque no siempre
son las mismas en todos los casos.
Nuestra paciente es una hembra de Pomerania, de un año de
edad y tres kg de peso que presenta una luxación bilateral de rótulas, de grado
IV, y que apenas puede caminar con sus extremidades posteriores totalmente
rotadas medialmente.
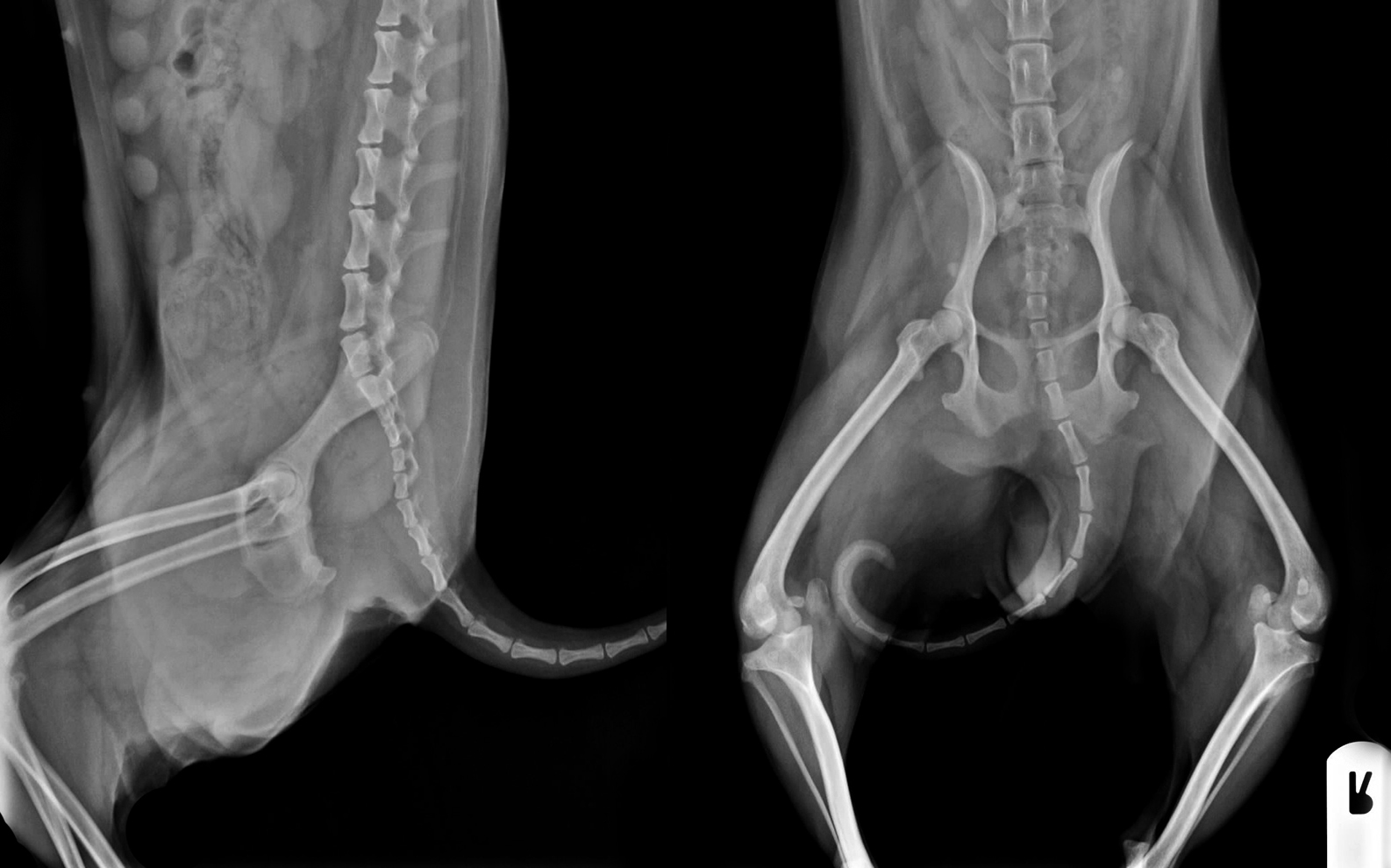
Veamos las primeras imágenes radiográficas:
Es evidente la luxación bilateral de rótulas, pero si nos
fijamos un poco más, la derecha está un poco más cerca del fémur y el grado de
rotación de los huesos es menor.
En este tipo de patologías tan agresivas, a pesar de que sean
bilaterales, está indicado comenzar el tratamiento por sólo una de ellas, y
cuando se recupere un poco abordar la otra cirugía, en lugar de intervenir
bilateralmente. (Sería distinto si fuese una fractura bilateral, en la que es
necesario intervenir ambas extremidades a la vez)
Puesto que la extremidad derecha tenía mejor pronóstico y
necesitábamos un apoyo temprano se empezó operando dicha extremidad con las
técnicas habituales de profundización del surco femoral, transposición de la
cresta tibial, superposición del retináculo (cápsula articular) y suturas
antirrotacionales.
Puesto que la torsión del fémur y la rotación de la tibia
eran menores se logró resolver la luxación y poco a poco el paciente fue
apoyando cada vez más en esa extremidad.
En la revisión de control, al mes de la cirugía se aprecia
que todo va bien, y el paciente ha mejorado mucho su marcha, pero sólo del lado
derecho.
Al planificar la
cirugía para el lado izquierdo es fácil comprender que no será posible con las
técnicas habituales, y necesitaremos una osteotomía del fémur distal, para
corregir esa curvatura, pero además debe rotar, para realinear la rodilla.
Posteriormente habrá que fijar los fragmentos
del fémur con una placa y tornillos, pero como es una osteotomía muy distal,
utilizaremos una placa en “L” ó en forma de palo de golf, que permite colocar más tornillos en el fragmento
distal, y fijar mejor el hueso.
En algunos casos es necesario también hacer osteotomía de la tibia proximal, pero suelen ser casos todavía más extremos, y en esta ocasión se pensó que no sería necesario.
El post operatorio en estos animales suele ser lento, y hay que
administrar antiinflamatorios bastante tiempo, pues cambios tan drásticos en
los huesos se reflejan en tensiones de los músculos y ligamentos, pero poco a
poco los tejidos blandos van cediendo, el paciente va ganando flexibilidad y
confianza, y con un buen control de la actividad física y del dolor, el
paciente debería recuperar la normal funcionalidad de sus rodillas.






