Fractura de fémur
Las fracturas de fémur son entradas bastante comunes en este
blog, pero después de tantos años escribiendo es normal que los temas se
solapen, y siempre hay algo diferente en cada fractura que puede ser útil para
alguien nuevo.
Nuestro paciente es un perro de aguas español, de 20 kg, que
saltó de una ventana y llega a la clínica con una marcada cojera de su extremidad
posterior derecha.
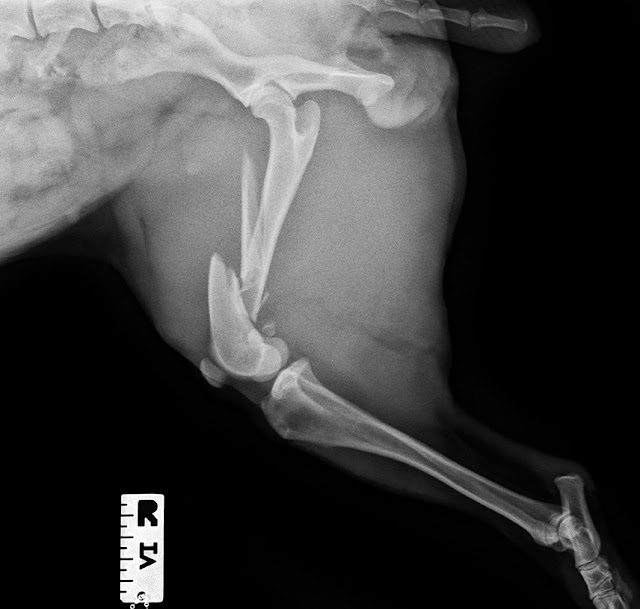
Comenzamos con el estudio radiográfico, y obtenemos las
siguientes imágenes:
Nuestro paciente tiene una fractura conminuta de fémur
derecho, con un gran fragmento en cuña, que intentaremos reducir y pequeños fragmentos
que no podremos recolocar, y crearán defectos de continuidad en el hueso.
Probablemente también podría sospecharse de una displasia de cadera, pero
puesto que el paciente caminaba normal antes del traumatismo, no nos vamos a
centrar en ese punto.
En la planificación de la cirugía, se pensó que será
necesario recolocar esa cuña de hueso, y luego poner una placa muy larga, para fijarla
muy proximal y muy distal, puesto que la zona diafisaria del fémur es la zona
más débil y más comprometida.
Veamos las radiografías de control post operatorio:
Como puede apreciarse en las imágenes anteriores, y tal como
he comentado antes, se redujo la cuña y se fijó con una aguja de Kirschner y un
tornillo de tracción de 3,5 mm, luego se puso un clavo intramedular para
facilitar la alineación ósea, y finalmente se sujetó todo con una placa muy
larga (de 12 agujeros) para tornillos de 3,5 mm, colocando tres tornillos en el
fragmento proximal, tres tornillos en el fragmento distal y un tornillo que
sujeta la zona diafisaria de la cuña. El otro tornillo no está en la placa, y
es sólo un tornillo de tracción que se utilizó para la reducción de la cuña.
Es importante señalar que a nivel proximal fue necesario
contornear la placa sobre el trocánter mayor del fémur para tener más espacio
para colocar los tornillos, y a nivel distal se aprovechó todo el espacio disponible
en fémur distal para colocar otros tres tornillos.
En esta fractura se utilizaron tres sistemas de fijación
diferentes, y considero que todos eran necesarios, porque se logró una fijación
muy estable a pesar de ser una fractura conminuta, donde los defectos óseos de
la cortical opuesta a la placa pueden producir fallos en la fijación, que sólo
se pueden compensar con un clavo intramedular, ó una segunda placa ortogonal. El
clavo intramedular compensa esos posibles defectos óseos de la cortical, y el
tornillo de tracción evita la colocación de un cerclaje, que siempre producirá
más daños en la vascularización.



